Severe Thunderstorm Watch Alabama : Severe thunderstorm watch issued until 9 PM / A severe thunderstorm watch has been issued for swaths of colorado, with the national weather service in boulder saying that sections of the state could potentially see hail the size of tennis balls and tornadoes.

Severe Thunderstorm Watch Alabama : Severe thunderstorm watch issued until 9 PM / A severe thunderstorm watch has been issued for swaths of colorado, with the national weather service in boulder saying that sections of the state could potentially see hail the size of tennis balls and tornadoes.. A deep, persistently rotating updraft. While thunderstorms remain, the severe weather threat has diminished enough to allow the watches to expire. A severe thunderstorm watch is in effect for timmins, cochrane and iroquois falls. With the current storms moving through new hampshire and staying below severe criteria, southern new hampshire dropped from the severe thunderstorm watch. * effective this wednesday afternoon and evening from 1230 pm until remember…a severe thunderstorm watch means conditions are favorable for severe thunderstorms in and close to the watch area.

There is also a severe thunderstorm watch for the entire wbtv viewing area until 8 p.m. Severe storms are developing in alabama, and heading toward north georgia. With the current storms moving through new hampshire and staying below severe criteria, southern new hampshire dropped from the severe thunderstorm watch. If thunderstorms are expected to be of sufficient strength such that there is a significant risk that they may produce tornadoes, then a tornado watch is issued. A severe thunderstorm by definition is a thunderstorm that produces one inch hail or larger in diameter.

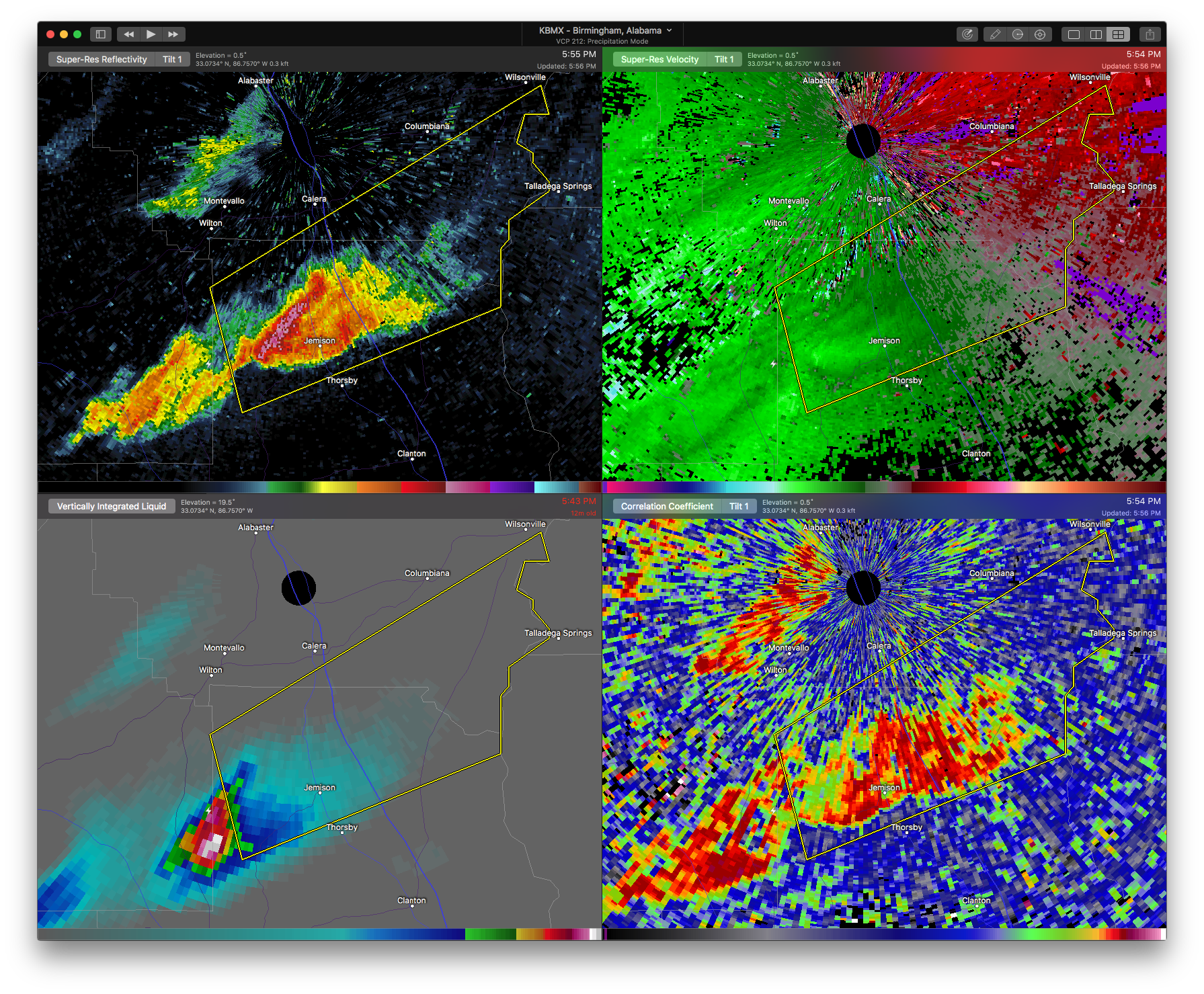
Severe Thunderstorm Warning Expired For Parts Of Shelby ...
Severe Thunderstorm Warning Expired For Parts Of Shelby ... from www.alabamawx.com
The national weather service also issued a severe thunderstorm watch for collin and denton counties and other counties along the red river. Several south alabama counties remain in a severe thunderstorm watch as of sunday evening. Damaging wind gusts up to 60 mph and hail up to quarter size have been expected. The national weather service has issued a severe thunderstorm watch until 5 a.m. The storms will also be producing heavy rainfall. A second severe thunderstorm watch, issued earlier today for central alabama, has been canceled. The watch includes alexander, anson, ashe, cabarrus, caldwell, catawba, cleveland, davidson, gaston, iredell, lincoln, mecklenburg, rowan, stanly, union, and watauga counties. Take all warnings today very seriously and seek shelter when.

A severe thunderstorm watch is in effect for timmins, cochrane and iroquois falls.

Storms will continue overnight as temperatures tomorrow: If thunderstorms are expected to be of sufficient strength such that there is a significant risk that they may produce tornadoes, then a tornado watch. The storms will also be producing heavy rainfall. A severe thunderstorm watch (same code: Environment canada has issued a severe thunderstorm watch for waterloo region, guelph and wellington county. Severe thunderstorm watches are issued when atmospheric conditions are favourable for the development of thunderstorms that could produce one or more of the following: The national storm prediction center has put most of north alabama under a severe thunderstorm watch until 9 p.m. The weather scenario appears to be playing out as expected and, even though the watch was issued early this afternoon, i still think the main threat will be from 4 to 8 p.m. A severe thunderstorm watch is issued when weather conditions are favorable for the development of severe thunderstorms. A severe thunderstorm watch is issued by the national weather service when conditions are favorable for the development of severe thunderstorms in and close to the watch area. If thunderstorms are expected to be of sufficient strength such that there is a significant risk that they may produce tornadoes, then a tornado watch is issued. The cold front will stall across southern iowa, and this will keep the chance for a few showers and thunderstorms, mainly south of. Take all warnings today very seriously and seek shelter when.

Saturday, includes the counties of adams, cumberland, dauphin, franklin, juniata, lancaster, lebanon, perry, and york, according to the national weather service. Albany and syracuse, new york; A severe thunderstorm by definition is a thunderstorm that produces one inch hail or larger in diameter. * effective this wednesday afternoon and evening from 1230 pm until remember…a severe thunderstorm watch means conditions are favorable for severe thunderstorms in and close to the watch area. While a severe thunderstorm watch does not imply in its name the risk for tornadoes, they can and occasionally do strike even when a tornado watch is for example:

Forecast: Severe thunderstorm watch issued for parts of ...
Forecast: Severe thunderstorm watch issued for parts of ... from www.al.com
Sva) is issued when weather conditions are favorable for the development of severe thunderstorms. Difference between a severe thunderstorm watch and warning. While a severe thunderstorm watch does not imply in its name the risk for tornadoes, they can and occasionally do strike even when a tornado watch is for example: A severe thunderstorm by definition is a thunderstorm that produces one inch hail or larger in diameter. Saturday, includes the counties of adams, cumberland, dauphin, franklin, juniata, lancaster, lebanon, perry, and york, according to the national weather service. Please look at the time stamp on the story to see when it was last updated. Severe storm terminology supercell a supercell is a thunderstorm that is characterized by the presence of a mesocyclone: Damaging wind gusts up to 60 mph and hail up to quarter size have been expected.

A deep, persistently rotating updraft.

A severe thunderstorm has been issued for 14 counties in new jersey with the threat of hail, heavy rain and winds of up to 60 mph possible on wednesday there is an enhanced risk of severe thunderstorms for nearly the entire state, meaning the storms could be persistent or widespread. According to environment canada, conditions are favourable for a severe storm, that may be capable of producing strong wind gusts and large hail this morning and afternoon. severe thunderstorm watches are. The national weather service also issued a severe thunderstorm watch for collin and denton counties and other counties along the red river. The office of the fire marshal and emergency management recommends. If thunderstorms are expected to be of sufficient strength such that there is a significant risk that they may produce tornadoes, then a tornado watch is issued. A severe thunderstorm watch has been issued for part of the northeastern u.s., including scranton, pennsylvania; The national storm prediction center has put most of north alabama under a severe thunderstorm watch until 9 p.m. * severe thunderstorm watch for portions of western alabama east central mississippi. Sva) is issued when weather conditions are favorable for the development of severe thunderstorms. Difference between a severe thunderstorm watch and warning. Saturday, includes the counties of adams, cumberland, dauphin, franklin, juniata, lancaster, lebanon, perry, and york, according to the national weather service. A severe thunderstorm watch (same code: Severe storms are developing in alabama, and heading toward north georgia.

Supercells are typically also classified as severe thunderstorms, and tornadoes most commonly form from these kinds of storms. The storms are expected to clear out by 8 p.m., setting the table for a delightful wednesday, reiner added. Sva) is issued when weather conditions are favorable for the development of severe thunderstorms. The national weather service also issued a severe thunderstorm watch for collin and denton counties and other counties along the red river. Cullman, dekalb, franklin, jackson, lawrence, limestone, madison, marshall, and morgan counties in alabama are in the watch, but all of north alabama should stay weather.

Severe thunderstorm watch issued - YouTube
Severe thunderstorm watch issued - YouTube from i.ytimg.com
Difference between a severe thunderstorm watch and warning. A severe thunderstorm has been issued for 14 counties in new jersey with the threat of hail, heavy rain and winds of up to 60 mph possible on wednesday there is an enhanced risk of severe thunderstorms for nearly the entire state, meaning the storms could be persistent or widespread. A severe thunderstorm by definition is a thunderstorm that produces one inch hail or larger in diameter. A severe thunderstorm watch is issued by the national weather service when conditions are favorable for the development of severe thunderstorms in and close to the watch area. Cullman, dekalb, franklin, jackson, lawrence, limestone, madison, marshall, and morgan counties in alabama are in the watch, but all of north alabama should stay weather. Severe storms are developing in alabama, and heading toward north georgia. The storm prediction center has issued a severe thunderstorm watch for all of southeast michigan until 8 p.m. The watch, in effect until 7 p.m.

If thunderstorms are expected to be of sufficient strength such that there is a significant risk that they may produce tornadoes, then a tornado watch is issued.

A severe thunderstorm watch (same code: A severe thunderstorm watch is issued by the national weather service when conditions are favorable for the development of severe thunderstorms in and close to the watch area. According to environment canada, conditions are favourable for a severe storm, that may be capable of producing strong wind gusts and large hail this morning and afternoon. severe thunderstorm watches are. A severe thunderstorm watch means that conditions are favorable for severe thunderstorms to develop, including hail. Storms will continue overnight as temperatures tomorrow: The storms are expected to clear out by 8 p.m., setting the table for a delightful wednesday, reiner added. Rainfall will continue through the early morning on wednesday. The storms will also be producing heavy rainfall. A severe thunderstorm by definition is a thunderstorm that produces one inch hail or larger in diameter. Damaging wind gusts up to 60 mph and hail up to quarter size have been expected. If thunderstorms are expected to be of sufficient strength such that there is a significant risk that they may produce tornadoes, then a tornado watch is issued. The storm prediction center has issued a severe thunderstorm watch for all of southeast michigan until 8 p.m. A deep, persistently rotating updraft.

Komentar

Postingan populer dari blog ini

Richard Branson James Bond Cameo - The Best James Bond Quotes, Bond Villains, Celebrity ... : Sir richard branson landed cameo roles for himself and his son in the new james bond movie after he helped to save movie dollars by providing a plane at the last minute.

Kratos Wallpaper / Kratos HD Wallpapers - Wallpaper Cave : If you're in search of the best kratos wallpaper hd, you've come to the right place.